Vicki McIntosh Klein, Managing Broker

Washington Street, Pearlington, MS 39572

$250,000
  • Washington Street, Pearlington, MS 39572 Main Photo

5 Total Photos [Click to View All]

Active
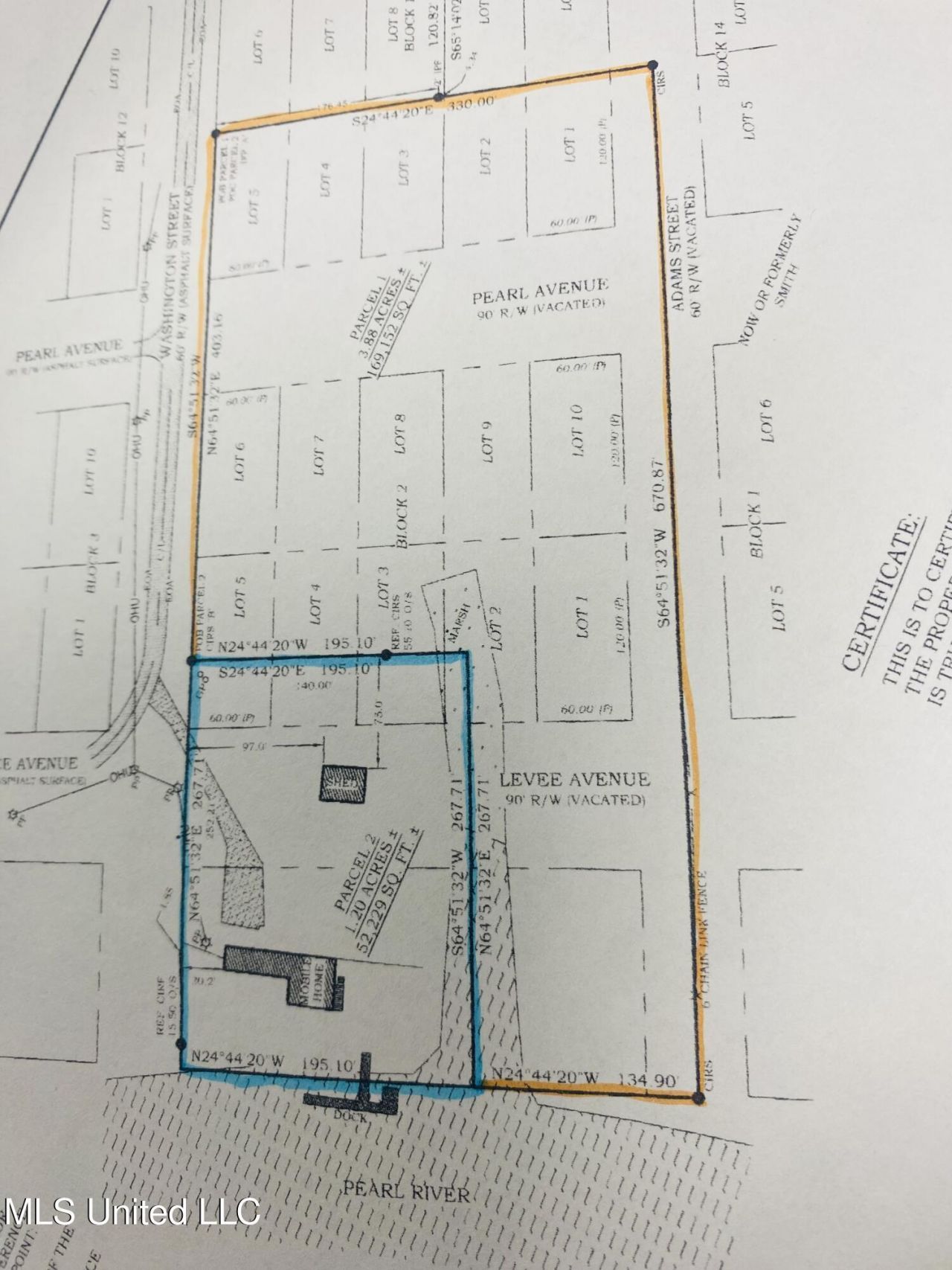
LOT SIZE 3.880 acres MLS#4139708
STATUSActive PROPERTY TYPELand - Farm

Property Description

Is waterfront living for you??? Take a look at this 3.88 acres with frontage on the Pearl River - a blank slate to build your dream home or weekend get-a-way. Come see what the Mississippi Gulf Coast has to offer!! Entertainment, great dining, small town feel with all the amenities.Additional 1.2 acres with river frontage and a mobile home available - see mls number 4139657

Washington Street | MLS# 4139708

This land located at Washington Street, Pearlington, MS 39572 is currently listed for sale with an asking price of $250,000. The property has approximately 3.88 Acres. Search Pearlington real estate on www.vickiklein.com today.

Property Features

Property Type: Land - Farm
Lot Size: 3.88 Acres
Taxes: $430

Feature Descriptions

Days on Site: 57
Lot: Many Trees, Views
Lot Dimensions: 541 x 330
Parcel#: 185n-1-19-002.000
Sewer: Public Sewer
Water: Public
Water Features: Water Access

Listed By / Shown By

Listed By

Agency Name: RE/MAX Coast Delta Realty

IDX logo

Estimate Your Payment

Estimated Payment

$ 665.14 per month $556.39 Principal & Interest $35.83 Property Tax $72.92 Homeowner's Insurance

Change Payment Information

%
years/fixed
yearly
yearly (est.)
(Payments are an estimate and may vary by lender)

Login to My Homefinder

Pixel